बहामसमा शक्तिशाली समुद्री आँधी, अमेरिकामा पनि प्रभाव पर्न सक्ने

Shikharkhabar Shikharkhabar
|
सोमबार, भाद्र १६, २०७६
|
|
२३ पटक हेरिएको
Shares
बहामसमा शक्तिशाली समुद्री आँधी, अमेरिकामा पनि प्रभाव पर्न सक्ने

सारांश

  • बीबीसी।
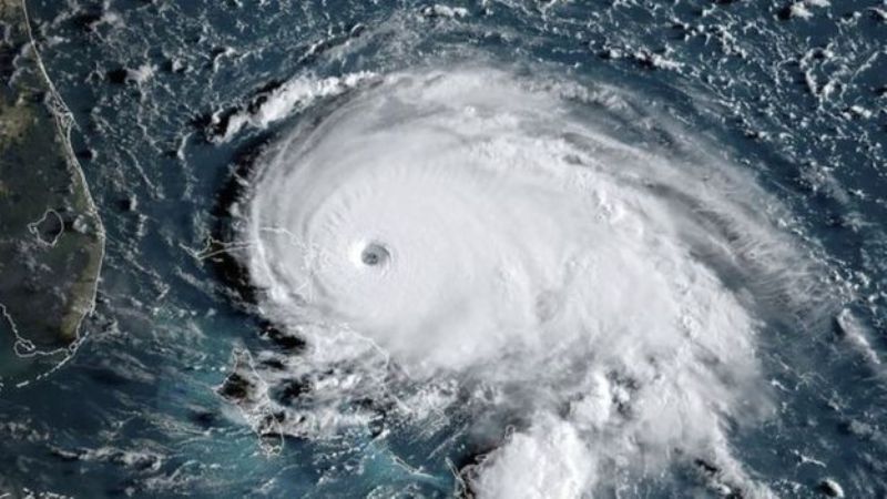
  • प्रतिघण्टा दुई सय ८५ किलोमिटरको वेगमा डोरिअन नामक क्याटगरी पाँचको शक्तिशाली समुद्री आँधी उत्तर-पश्चिमी बहामस पुगेको छ।
  • समुद्री आँधीसम्बन्धी अमेरिकी निकाय एनएचसीका अनुसार आधुनिक तथ्याङ्क राख्न थालिएयताकै डोरिअन 'अति खतरानाक' आँधी हो।

बीबीसी। प्रतिघण्टा दुई सय ८५ किलोमिटरको वेगमा डोरिअन नामक क्याटगरी पाँचको शक्तिशाली समुद्री आँधी उत्तर-पश्चिमी बहामस पुगेको छ।

समुद्री आँधीसम्बन्धी अमेरिकी निकाय एनएचसीका अनुसार आधुनिक तथ्याङ्क राख्न थालिएयताकै डोरिअन 'अति खतरानाक' आँधी हो।

ग्र्यान्ड बहामाका बासिन्दाहरूलाई आँधीको अनुमानित मार्गबाट अन्यत्र सारिएको छ। जनजीवनका लागि आँधी घातक हुन सक्ने र सात मिटर उचाइसम्म पुग्न सक्ने भन्दै अधिकारीहरूले सचेत गराएका छन्।

स्थानीय समयानुसार दिउँसो १२:४० मा आँधी उत्तरी बहामसमा पर्ने एबाको टापुको एल्बोकी पुगेको थियो।

स्थानीय बासिन्दाहरूले केही घरहरूमा बाढी पसेको र आँधीले घरका छाना उडाएको दृश्य सामाजिक सञ्जालमा प्रकाशित गरेका छन्।

डोरिअन आँधी ग्रेट एबाको टापु र नजिकका क्षेत्र अथवा ग्र्यान्डा बहामा टापुमा आइतवार अबेर वा सोमवारसम्म पुग्ने अपेक्षा गरिएको छ।

अधिकारीहरूले टापुका केही विमानस्थल बन्द गराए पनि आइतवार प्रमुख विमानस्थल खुला राखिएको छ।

बहामसलाई हानेपछि डोरिअन आँधी संयुक्त राज्य अमेरिकाको फ्लोरिडाको पूर्वी तटीय क्षेत्रमा स्थानीय समयानुसार सोमवार अबेर प्रवेश गर्ने अनुमान गरिएको छ।

यसअघि बहामसका प्रधानमन्त्री हुबेर्ट मिनिसले ग्र्यान्ड बहामा र एबाको टापुका कतिपय स्थानबाट मानिसहरूलाई अन्यत्र सार्न आदेश दिएका थिए। सबै पर्यटकहरूलाई त्यहाँबाट बाहिर जान आदेश दिइएको थियो।

आइतवार एउटा पत्रकार सम्मेलनलाई सम्बोधन गर्दै गर्दा प्रधानमन्त्री मिनिसको गहभरि आँसु थियो।

उनले भने, "बहामसका जनतालाई सम्बोधन गरिरहँदा सम्भवतः यो मेरो जीवनको सबैभन्दा दुःखद र नराम्रो दिन हो।"  डोरिअनलाई उनले 'राक्षस आँधी'को सङ्ज्ञा दिए।

डोरिअन ठ्याक्कै जाने मार्ग अनिश्चित छ। तर संयुक्त राज्य अमेरिकाका चारवटा राज्य फ्लोरिडा, जोर्ज, साउथ क्यारोलाइना र नर्थ क्यारोलाइनामा आपत्कालीन अवस्था घोषणा गरिएको छ।

अमेरिकी राष्ट्रपति डोनल्ड ट्रम्पले आफूले डोरिअन आँधीसँग सम्बन्धित घटनाक्रमलाई नियालिरहेको बताएका छन्।

उनले पोलन्ड जाने निर्धारित कार्यक्रम भ्रमण स्थगित गरी आफ्नो ठाउँमा उपराष्ट्रपति माइक पेन्सलाई पठाएका छन्।

प्रतिक्रिया

कमेन्ट लेख्नुहोस्

तपाईंको इमेल ठेगाना प्रकाशित हुनेछैन। आवश्यक फिल्डहरू चिन्ह लगाइएका छन् *

कुल कमेन्ट: 0
यो खबर पढेर तपाईंलाई कस्तो महसुस भयो ?

यो पनि पढौँ

तपाईंले छुटाउनुभयो कि?